Parassiti: i più temuti dalle piante
In questo periodo i nostri giardini cominciano a prendere forma e tutto il lavoro che abbiamo fatto nei mesi passati si trasforma in forme, colori, profumi.
È questo il periodo, però, in cui anche i nemici delle nostre piante si fanno vivi e minano ogni singola pianta. Da aprile fino a ottobre, più o meno, dovremo difenderle da tante forme di parassiti di cui analizzeremo i più dannosi e infestanti.
PORTALE DEL VERDE CONSIGLIA
Cimice
La cimice verde delle piante arriva con le prime
giornate di sole e infesta i giardini e le zone verdi fino a novembre. In settembre, dopo una breve pausa in agosto, ritorna con la vendemmia e soltanto con la fine di essa e le prime nottate di freddo rigido, la cimice sparisce. Non dobbiamo, però, generalizzare il pericolo delle cimici: molte specie, infatti, sono perfettamente innocue sia per le piante che per l'uomo. Quelle da cui dobbiamo proteggerci, invece, sono le cimici verdi delle piante, che si nutrono della linfa degli arbusti e quindi di azalee, rododendri, ginestre e tutti gli arbusti che arricchiscono i nostri spazi verdi. Se notiamo anche una sola cimice verde su una pianta, è necessario intervenire subito per abbattere eventuali famiglie o uova. Esistono in commercio, naturalmente, molti prodotti chimici da spruzzare sulla zona ma, se non aspettiamo che le uova si siano schiuse, possiamo intervenire con metodi naturali. Un trucco che funziona contro le cimici è piantare dell'aglio in giardino; le cimici hanno una forte repulsione per il suo odore e si terranno lontane dal giardino.
Monilia
La Monilia è un fungo che colpisce le piante da frutto come il melo, il pero, il nespolo, il ciliegio, il pesco. La Monilia tende ad attaccare i frutti che marciscono quando sono ancora sul ramo; il sintomo primo che ci dice che una pianta è infestata dalla Monilia è la muffa biancastra- grigia che si forma sulla superficie esterna del frutto. Se non ci attiviamo contro la Monilia, ben presto essa attaccherà anche i rami e il tronco della pianta, creandovi delle fessure nerastre simili a ferite da cui fuoriescono sostanze dense che possono sembrare quasi resina. Per prevenire la Monilia, dobbiamo potare con delle forbici subito i rami che manifestino fessurazioni o che ospitino frutti marciti. È importante poi mantenere sempre un buon drenaggio del terreno perché la Monilia teme l'umidità e il ristagno. Se una pianta è stata precedentemente colpita da Monilia, conviene fare una disinfestazione generale a inizio primavera per scongiurare che residui di Monilia possano svilupparsi.
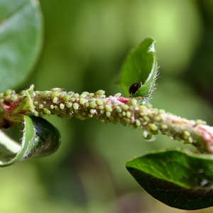
Afidi
Gli afidi delle piante sono una famiglia di pidocchi che riunisce circa 4000 specie diverse. Gli afidi sono parassiti specifici di alcune piante: rosa, cipresso, ciliegio, cedro e molte altre. I sintomi che gli afidi abbiano colpito una pianta sono: foglie chiazzate, ingiallite, accartocciate, avvizzite fino ad arrivare, se l'attacco degli afidi permane, alla morte del
vegetale. Gli afidi possono essere sia alati che no. Di solito la prima generazione non lo è ma, essendo molto veloce il susseguirsi di generazioni, presto gli afidi si adattano al territorio e, se devono lasciare la pianta perché non più abbastanza nutriente, sviluppano le ali. Esistono in commercio potenti rimedi chimici contro gli afidi ma è meglio agire sulla prevenzione, affinché gli afidi non giungano a colpire le nostre coltivazioni. I rimedi preventivi contro gli afidi sono:
- eliminare le erbacce, poiché gli afidi tendono a deporvi uova;
- proteggere le colture, soprattutto giovani, con reti antinsetto;
- evitare di lasciare mucchi di erba tagliata o avanzi del raccolto.
Oidio
L'Oidio, detto anche Mal Bianco, e che i nostri nonni chiamavano Albugine, è una malattia delle piante causata da funghi Ascomyocota. La caratteristica di questi funghi a cui l'Oidio appartiene è quella di produrre ife (filamenti uni
o pluricellulari). Lo Oidio tende a prodursi quando le temperature sono ancora moderate, nel periodo avanzato della primavera e all'inizio dell'estate. Si sviluppa più facilmente su piante con intensa attività vegetativa. Complice dell'Oidio è il vento, che sparge le spore, mentre il suo nemico naturale è la pioggia, soprattutto se abbondante, che pulisce le foglie dai miceli.
I sintomi dell'Oidio sono: una perdita di colore di frutti, germogli e foglie, seguita dalla formazione di una patina biancastra, che sembra quasi polvere. Tra le coltivazioni più colpite dell'Oidio vi è la vite, che prima tende a indebolirsi fino a crettarsi nei tronchi; a questo punto altri agenti patogeni si introducono dalle fessure prodotte dall'Oidio nella linfa ed uccidono la pianta. A parte i rimedi chimici, per impedire il diffondersi dell'Oidio è consigliato evitare alla pianta shock termici, per esempio annaffiando nelle ore centrali della giornata. Se terremo le piante al riparo da questi shock sarà più difficile per l'Oidio attaccare le nostre coltivazioni.
Cocciniglia
Le Cocciniglie appartengono alla famiglia degli Afidi. Caratteristica della Cocciniglia è di perforare la lamina
esterna delle foglie ed introdursi all'interno. Essa si nutre della linfa zuccherina interna alle foglie. Con il termine "Cocciniglia" si intendono in realtà decine di specie molto diverse tra loro per dimensioni, che possono andare da pochissimi millimetri a mezzo centimetro. Alcune specie di Cocciniglie si introducono nelle radici delle piante, nutrendosi della linfa interna. Le Cocciniglie si sviluppano soprattutto sulle piante grasse, o succulente, sulle conifere, sugli agrumi e sulla vite. Se l'infestazione è all'inizio possiamo asportare manualmente la Cocciniglia, facendo attenzione a non ferire i rami da cui potrebbero entrare altri parassiti. Dobbiamo poi evitare concimi ricchi di azoto, in cui la Cocciniglia prospera, e fare attenzione a innaffiare e ventilare le piante perché aridità, mancanza di areazione e scarsità di luce sono condizioni di vita eccellenti per la Cocciniglia. Tutto il periodo moderato e caldo è ideale per la propagazione della Cocciniglia.
Punteruolo rosso
Il Punteruolo rosso è un coleottero originario dell'Asia ed è un parassita dannoso per molte specie di piante, tra cui soprattutto le palme. Il Punteruolo rosso è talmente dannoso che alcune Regioni, tra cui la Toscana, hanno adottato veri e propri protocolli d'azione contro di esso. Oltre alle palme da cocco, da olio, americana, cinese, da succo e nana, ovvero quasi tutti i tipi conosciuti, il Punteruolo rosso attacca anche l'aloe e la canna da zucchero. L'infestazione causata dal Punteruolo rosso può essere a lungo asintomatica. L'insetto si inserisce all'interno della pianta e spesso non è visibile. Il primo sintomo esterno è il fatto che la chioma si rovescia "ad ombrello aperto" e può arrivare anche a perdere tutta la chioma. I rimedi contro il Punteruolo rosso sono molto complessi poiché si tratta di un parassita che si muove velocemente e può arrivare ad infestare contemporaneamente una porzione enorme della superficie totale della pianta. La prevenzione sembra ad oggi essere la cura migliore; è consigliabile quindi monitorare le piante e, al primo accenno, procedere con antiparassitari chimici. I metodi più naturali conto il Punteruolo rosso non sembrano avere alcun successo. È in fase di sperimentazione una tecnica di attacco attraverso virus specifici cosparsi sulla pianta ma ancora non è utilizzabile.
Minatrice serpentina
La Minatrice serpentina degli agrumi è un lepidottero
diffuso ovunque ma solo recentemente giunto in Italia. Dal 1994 l'Italia combatte contro questo parassita che attacca soprattutto, appunto, i legumi, ma anche le leguminose, i salici e numerose altre famiglie vegetali. La Minatrice serpentina, individuata dapprima in Sardegna, nel 1995 si era già diffusa in Sicilia ed in Calabria, proprio in virtù del fatto che ama nutrirsi di piante che prediligono climi caldi. L'aspetto esteriore dell'esemplare adulto è quello di una farfallina bianco-argentate, frangiate, con una macchiolina nera all'apice. La larva, invece, è giallo-verdastra. I sintomi del contagio da Minatrice serpentina sono: rigonfiamento della pagina inferiore delle foglie, in cui la larva si sviluppa, e che divengono marroni a causa delle feci depositate proprio dalla Minatrice serpentina. Le foglie colpite appaiono indebolite anche sulla pagina superiore e ripiegate verso il basso.
Il metodo migliore per combattere la Minatrice serpentina è un antiparassitario naturale noto con il nome di Olio di Neem, di cui in commercio si trovano diverse marche. Questo insetticida ha una durata nel tempo che consente di utilizzarlo come metodo preventivo all'inizio della stagione calda, così da colpire le larve della Minatrice serpentina.
Mosca della frutta
La Mosca mediterranea della frutta, detta più comunemente Mosca della frutta, è un insetto fitofago, ossia che si nutre di vegetali. La sua larva si sviluppa direttamente all'interno di molti frutti e li consuma dall'interno. La Mosca della frutta è considerata dagli agronomi uno dei nemici più temibili nella coltivazione stiva di frutta. È un animale infestante che può arrivare a distruggere fino al 100% di un raccolto. In Italia le specie più aggredite sono il pesco, l'albicocco, il fico, il caco, il melo, il pero, la fragola, il kiwi ed il nespolo del Giappone. Possiamo affermare, quindi, che la Mosca della frutta è davvero un nemico agguerrito per la produzione di frutta in Italia.
La soluzione chimica è far penetrare l'insetticida fin dentro il frutto in modo da distruggere le larve di Mosca della frutta appena si formano. Se si attende troppo, infatti, il frutto sarà già stato eroso dall'interno. Un'altra soluzione chimica è attirare gli esemplari adulti in trappole cromatiche, così da ridurre il numero di cove ma è comunque una soluzione onerosa e poco funzionante. La lotta bio tecnica, invece, prevede di inserire nell'ambiente un numero rilevante di maschi sterili, così da ridurre pin piano la proliferazione. Questa soluzione è quella a minore impatto ambientale ed è sempre più seguita ma per adesso i risultati sulla diffusione della Mosca della frutta non sempre sono incoraggianti.
Moscerini
La Drosophila, o Moscerino della frutta e dell'aceto, è
uno degli insetti più studiati in biologia perché è facilmente conservabile in laboratorio ed ha un ciclo vitale brevissimo, non superiore alle due settimane. Il Moscerino della frutta è lungo circa 3 mm in fase adulta. Attacca soprattutto la frutta in stato di fermentazione. Le uova di Moscerino della frutta si schiudono a 24 ore dalla deposizione e crescono per cinque giorni a spese della frutta su cui si attaccano decomponendo gli zuccheri di cui è composta. Se abbiamo un solo albero o comunque poche piante, per debellare il Moscerino della frutta conviene ricorrere a soluzioni biologiche: la più semplice è inserire in una bottiglia, in cui avremo inserito un imbuto di carta, della frutta e lasciare che fermenti. Il Moscerino della frutta verrà attratto dall'odore e rimarrà intrappolato nella bottiglia. Se invece abbiamo un frutteto, non affidiamoci a soluzioni troppo blande e sconfiggiamo subito il Moscerino della frutta con insetticidi validi; soltanto in fase di mantenimento potremo ricorrere a soluzioni non invasive. Una volta insediatosi, infatti, il Moscerino della frutta è difficile da debellare.
Processionaria
La Processionaria, conosciuta anche come Processionaria del Pino, è diffusa in Europa, Asia ed Africa. Nella forma adulta, quando diventa una farfallina triangolare bianco-grigiastra, è altamente distruttiva perché priva i pini delle foglie e pian piano li uccide. Nella fase larvale, invece, la Processionaria si presenta come un bruco peloso e sprigiona una polvere altamente urticante per l'uomo. Nella forma adulta la Processionaria è un lepidottero notturno e difficilmente entra nelle case; nella forma larvale, invece, forma delle code che ricordano una processione, da cui il nome, e di trova generalmente intorno ai pini o sulle loro fronde.
In Italia da circa venti anni è obbligatoria la disinfestazione dalla Processionaria nelle aree pubbliche; rimane il problema nei terreni privati. Il metodo più innocuo per debellarla è quello di distruggere i nidi contenenti le larve. Per far ciò è necessario coprirsi completamente onde evitare il prurito causato dalla Processionaria. Per grandi appezzamenti di terra, di solito si usano concimi chimici, che devono essere consigliati da esperti.
Se hai letto questo articolo, ti potrebbe interessare anche:
- Rimedi contro i moscerini che infestano le piante
- Punteruolo rosso delle palme: come riconoscerlo, come combatterlo e come prevenirlo
- Il punteruolo nero, una grave minaccia per le piante ornamentali
- Malattie delle piante: come riconoscerle velocemente
- Minatrice serpentina degli agrumi - Scopri cos'è e cosa fare
- Processionaria: come riconoscerla ed eliminarla
Come eliminare gli afidi dalle piante
Articoli della stessa categoria
Questo articolo è stato scritto da Redazione

Portale del Verde è l'enciclopedia online del giardinaggio e delle piante con oltre 5000 schede di varietà botaniche e oltre 17.000 aziende che operano nel settore orto florovivaistico. È l'unico portale web in Italia che dà la possibilità a tutti gli appassionati di giardinaggio di fare domande e ricevere una risposta gratuitamente da una redazione formata da oltre 50 esperti autorevoli, uno per ogni specifica nicchia, provenienti dal mondo del verde.
E' presente inoltre l'unica libreria online GRATUITA con 27 e-book di altissima qualità sul mondo del Giardinaggio.
E per chi amasse approfondire tramite video, può visitare il canale Youtube dove gli esperti approfondiscono varie tematiche sulle specifiche varietà di piante e fiori da loro trattate.











